Mundo Israel e Irán imponen censura a medios de comunicación para informar sobre los ataques armados 28 febrero 2026
Destacado Trump: «Hay una operación a gran escala en marcha» para «aniquilar» al régimen iraní 28 febrero 2026
Destacado Presidente de Israel agradece el apoyo de Donald Trump en la nueva guerra contra Irán 28 febrero 2026
Mundo Fuerzas armadas iraníes aseguran que ataques contra EEUU e Israel continuarán «en toda la región» 28 febrero 2026
Mundo ONU condena ataques de EEUU e Israel y represalias de Irán: «los civiles pagan el precio» 28 febrero 2026
Mundo Al menos 38.500 turistas se quedan atrapados en Israel tras los ataques contra Irán 28 febrero 2026
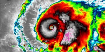
Destacado Estados Unidos e Israel lanzan ofensiva contra decenas de objetivos militares en Irán 28 febrero 2026
Mundo Bill Clinton asegura que no sabía de los delitos de Epstein: «No vi nada ni hice nada malo» 27 febrero 2026
Mundo Embajador de EE.UU. Peter Lamelas recibe a familiares de rehenes argentinos en Venezuela: respalda su liberación 27 febrero 2026
Gnabry, Xavi Simons y Militao: las lesiones tensionan el cierre de temporada rumbo al Mundial 29 abril 2026
Luka Modric es operado con éxito de una fractura de pómulo: se despide de la temporada italiana 27 abril 2026
Hijo mayor de Mario Vargas Llosa hereda título de marqués concedido por el rey de España 29 abril 2026
Administración Trump enviará delegación a Venezuela para tratar acuerdos mineros y energéticos 29 abril 2026
Gobierno argentino agradece a la CIDH medidas cautelares de protección al abogado Germán Giuliani, detenido en Venezuela 29 abril 2026
Roberto Sánchez cada días más cerca de disputar la Presidencia de Perú con Keiko Fujimori 29 abril 2026